Los colegios electorales de Argentina abrieron en la mañana de este domingo para la celebración de unos comicios de medio término que definirán la composición del Congreso a partir de diciembre y reve...
NoooEL NUEVO DIARIO, SANTO DOMINGO. – Tras varios días de intensas lluvias, vientos y trastornos en gran parte del territorio nacional por los efectos del huracán Melissa, República Dominicana comienz...
EL NUEVO DIARIO, SANTO DOMINGO.- El club Rafael Barias derrotó a su homólogo de Bameso, 81-77, en el partido de cierre de la cuádruple jornada dominical y última de la serie regular del TBS Distrito 2...
Karina Milei habló desde el búnker de La Libertad Avanza una hora después del cierre de la votación, a la espera de los resultados de las elecciones legislativas de este domingo 26 de octubre en Argen...
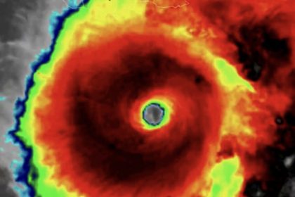
EL NUEVO DIARIO, SANTO DOMINGO.- El geólogo Osiris de León advirtió este domingo que el huracán Melissa, continúa fortaleciéndose y podría alcanzar categoría 5 en las próximas horas con un posible “im...
Max Scherzer y Clayton Kershaw. foto @BlueJays EL NUEVO DIARIO, LOS ÁNGELES — Un hombre se va en paz, mientras que el otro todavía se enfurece por esa buena noche y por cualquiera que haya quedado en ...
Las elecciones legislativas celebradas este domingo en Argentina dejaron un dato alarmante: más de 12 millones de ciudadanos habilitados para votar no ejercieron su derecho, lo que representa el nivel...
Desmond McKenzie Ministro de Gobierno Local de Jamaica. (Ilustración: END) EL NUEVO DIARIO, SANTO DOMINGO.- La Embajada de la República Dominicana en Jamaica, concurrente en la Mancomunidad de las Bah...
EL NUEVO DIARIO, LA ROMANA. – Agentes de la Policía Preventiva intervinieron una fiesta clandestina, conocida como “teteo”, en el municipio de Villa Hermosa, mientras el país se encontraba bajo los ef...
Kenny Hernández. Foto Leones del Escogido. EL NUEVO DIARIO, SANTO DOMINGO.- Por segunda temporada consecutiva, Kenny Hernández se pondrá el uniforme de los Leones del Escogido, según anunció la gerenc...










